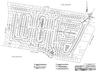
PLAN D’AMÉNAGEMENT
D’ENSEMBLE (PAE)
ZONE H-325
(QUADRILATÈRE CIRCONSCRIT PAR LA
RUE BERNARD, LE BOULEVARD DE
GAULLE, LE BOULEVARD KENNEDY ET
LE BOULEVARD PIERRE BOURSIER)
PROJET TERRE 144
Secteur 1: intérieur du projet
Demandeur: Constructions de Castel
• Type de bâtiment: habitation unifamiliale isolée
Secteur 2: le long de Pierre-Boursier
Demandeur: M. Patrick Pelletier
• Type de bâtiment: habitation multifamiliale isolée
(6 logements maximum par unité d’habitation).
SECTEUR 1
(Unifamiliales
isolées)
SECTEUR 2
(Pierre-Boursier
Multi (6 log.
maximum)
SECTEUR 1
• Demandeur: Constructions de Castel
(Stéphane Lépine)
• Type de bâtiment: unifamiliale isolée
• Nombre: 163 (85 bungalows ou à palier, 78
cottages)
• Projet d’une superficie d’environ 135 000 m2
SPÉCIFICITÉS DU PROJET
Secteur ouest (A): habitation unifamiliale isolée 2 étages;
Secteur central (B): habitation unifamiliale isolée 2 étages (de
prestige);
Secteur est (C): habitation unifamiliale isolée 1 étage;
- L’ensemble des résidences que l’on retrouvera sur le projet
devra être de style spécifique (voir modèles annexés);
- Dans le secteur central (de prestige), tous les murs extérieurs
(latéraux et arrière) devront être traités de la même manière que
la façade principale au niveau des revêtements extérieurs;
-
-Toute construction devra être certifiée Novoclimat ou être
construite selon la norme R-2000 ou être certifiée LEED;
- La desserte au niveau des services publics (électricité,
câble, téléphone) devra être enfouie;
Le drainage du terrain et les gouttières devront être raccordés
à un jardin de pluie aménagé par le promoteur en cour avant
de chaque résidence et raccordés au réseau pluvial de la Ville
en cas de surverse;
- Les chauffe-eaux de chaque unité d’habitation devront être
à l’énergie solaire;
Chaque bâtiment devra utiliser en tout ou en partie au moins
l’une des technologies suivantes : - La géothermie (à l’étude);
- L’énergie solaire (à l’étude)
- Les sentiers piétons devront être en pavé perméable
Jardin de pluie
Jardins de pluie
PAVÉ PERMÉABLE
SKMBT_C45011090
812240.pdf (4 M...
MODÈLES DE MAISON
SECTEUR 2
• Demandeur: M. Patrick Pelletier
• Type de bâtiment: multifamiliale isolée
• Nombre: 2 bâtiments de 6 logements chacun (2
étages + demi sous-sol)
• Projet d’une superficie d’environ 25 000 p2
(125p x 200p)
SECTEUR 2
(Pierre-Boursier
Multi (6 log.
maximum)
TERRAIN À
DÉVELOPPER
#305
#311
Plan d'aménagement d'ensemble
Plan d'aménagement d'ensemble
Plan d'aménagement d'ensemble
Plan d'aménagement d'ensemble
Plan d'aménagement d'ensemble
Plan d'aménagement d'ensemble
Plan d'aménagement d'ensemble
Plan d'aménagement d'ensemble

Plan d'aménagement d'ensemble

  • 1.
    PLAN D’AMÉNAGEMENT D’ENSEMBLE (PAE) ZONEH-325 (QUADRILATÈRE CIRCONSCRIT PAR LA RUE BERNARD, LE BOULEVARD DE GAULLE, LE BOULEVARD KENNEDY ET LE BOULEVARD PIERRE BOURSIER)
  • 6.
    PROJET TERRE 144 Secteur1: intérieur du projet Demandeur: Constructions de Castel • Type de bâtiment: habitation unifamiliale isolée Secteur 2: le long de Pierre-Boursier Demandeur: M. Patrick Pelletier • Type de bâtiment: habitation multifamiliale isolée (6 logements maximum par unité d’habitation).
  • 7.
  • 9.
    SECTEUR 1 • Demandeur:Constructions de Castel (Stéphane Lépine) • Type de bâtiment: unifamiliale isolée • Nombre: 163 (85 bungalows ou à palier, 78 cottages) • Projet d’une superficie d’environ 135 000 m2
  • 12.
    SPÉCIFICITÉS DU PROJET Secteurouest (A): habitation unifamiliale isolée 2 étages; Secteur central (B): habitation unifamiliale isolée 2 étages (de prestige); Secteur est (C): habitation unifamiliale isolée 1 étage; - L’ensemble des résidences que l’on retrouvera sur le projet devra être de style spécifique (voir modèles annexés); - Dans le secteur central (de prestige), tous les murs extérieurs (latéraux et arrière) devront être traités de la même manière que la façade principale au niveau des revêtements extérieurs; -
  • 13.
    -Toute construction devraêtre certifiée Novoclimat ou être construite selon la norme R-2000 ou être certifiée LEED; - La desserte au niveau des services publics (électricité, câble, téléphone) devra être enfouie; Le drainage du terrain et les gouttières devront être raccordés à un jardin de pluie aménagé par le promoteur en cour avant de chaque résidence et raccordés au réseau pluvial de la Ville en cas de surverse; - Les chauffe-eaux de chaque unité d’habitation devront être à l’énergie solaire; Chaque bâtiment devra utiliser en tout ou en partie au moins l’une des technologies suivantes : - La géothermie (à l’étude); - L’énergie solaire (à l’étude) - Les sentiers piétons devront être en pavé perméable
  • 14.
  • 15.
  • 16.
  • 17.
  • 20.
    SECTEUR 2 • Demandeur:M. Patrick Pelletier • Type de bâtiment: multifamiliale isolée • Nombre: 2 bâtiments de 6 logements chacun (2 étages + demi sous-sol) • Projet d’une superficie d’environ 25 000 p2 (125p x 200p)
  • 21.
  • 22.